L'Agence de Rang-du-Fliers Agence
Télécharger la fiche

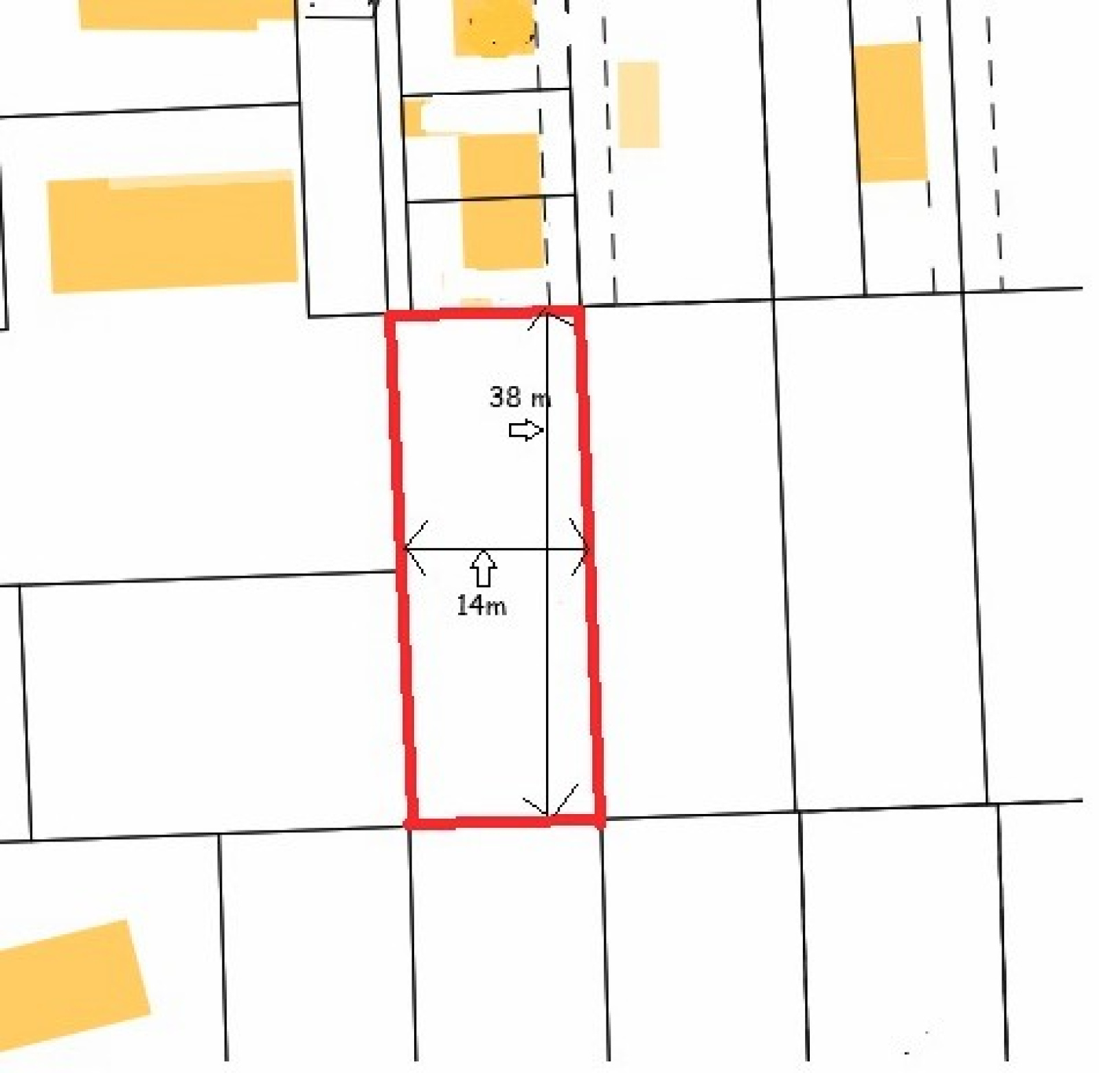
Terrain à batir 546 m²

Berck (62600)
117 700 € Référence 131369

A propos de ce bien

Rare sur le marché : terrain à bâtir à BERCK PLAGE


Situé au calme, en retrait de la route et à seulement 1 km de la plage, ce terrain plat de 546 m² offre un cadre idéal pour votre projet de construction.

  • Exposition plein SUD à l’arrière : profitez d’un ensoleillement optimal

  • CU opérationnel favorable : prêt pour votre future maison

  • Emplacement recherché, au calme

Prix : 117 700 €

Une opportunité exceptionnelle pour créer votre résidence principale ou secondaire à Berck-sur-Mer. Ne tardez pas !

Contactez-nous dès aujourd’hui pour une visite.

Caractéristiques de ce bien

  • terrain 546 m²

Diagnostics énergétiques

Consommation énergétique
A B C D E F G
Emission de gaz à effet de serre
A B C D E F G
DPE ANCIENNE VERSION

Informations financières

Prix de vente 117 700 € Les honoraires d'agence seront intégralement à la charge du vendeur

Calcul des mensualités

* Champs obligatoires